セキュレア西川田町 (建築条件付宅地分譲)
セキュレア西川田町 (建築条件付宅地分譲)
セキュレア西川田町 (建築条件付宅地分譲)
セキュレア西川田町 (建築条件付宅地分譲)

セキュレア西川田町 (建築条件付宅地分譲)
(建築条件付宅地分譲)

マイレーティング

検討・比較をするためにこの物件を採点できます。
(採点した物件はお気に入りで確認できます)

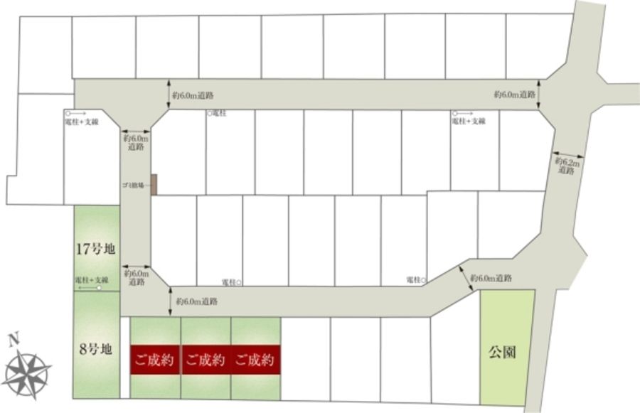
◆全36区画の大型分譲地◆

宇都宮市立姿川中央小学校、宇都宮市立姿川中学校まで徒歩圏内。

ヨークベニマル西川田店、カワチ薬局まで徒歩圏内。

大通りから1本入った敷地で閑静な住宅街となっております。



フリープランでの建築が可能です。

間取りプランも立てやすく、暮らしやすい住まいに。

前面道路幅6mで、車の通行、駐車もスムーズ。



無料で建築プランの作成を承っております。

こだわりの住まいをカタチに。ご希望やご相談もお気軽お問合せ下さい。

メーカー公式サイト

土地のみ
土地のみ
沿線名/駅名
東武鉄道宇都宮線「江曽島」駅
総区画数
36 区画
駅・バス停からの最短時間
16
価格帯
1,490万円-
1,790万円
土地面積
152.42-
192.29
所在地
栃木県宇都宮市西川田町字上原953-46他
沿線名/駅名
東武鉄道宇都宮線「江曽島」駅まで徒歩16分
JR東北本線「宇都宮」駅 関東バス約25分「東原町」バス停徒歩5分
価格帯
1,490万円~1,790万円
最多価格帯
1,000万円台 2区画 ※1,000万円単位
販売戸数/総戸数
2区画/36区画
土地面積
192.29m2(8号地)、152.42m2(17号地) 全て私道負担なし
開発面積(総面積)
-

この物件のこだわりポイント

分譲地内は幅員6mの道路が整備されており、通行もラクラク。
分譲地内には公園も新設。大通りから1本入った敷地で閑静な住宅街となっております。
東武鉄道宇都宮線「江曽島」駅が徒歩圏内。通勤通学やお出かけの際の交通アクセスのよい分譲地。

建ぺい率・容積率
60%・200%
地目
宅地
用途地域
第一種住居地域
完成予定日
造成済 2区画
販売時期
先着順申込受付中
売主
大和ハウス工業株式会社
販売会社名(取引態様)
売主
情報提供元
大和ハウス工業株式会社
お問い合わせ先

宇都宮支店 住宅営業所

宅建番号その他

大和ハウス工業株式会社 DAIWA HOUSE INDUSTRY CO., LTD.
本社 〒530-8241 大阪市北区梅田3丁目3-5 大和ハウス大阪ビル TEL:0120-590-956
建設業許可番号・国土交通大臣許可(特-2)第5279号
宅地建物取引業者免許番号・国土交通大臣(16)第245号
(一社)大阪府宅地建物取引業協会会員
(一社)不動産協会会員
(公社)近畿地区不動産公正取引協議会加盟

備考欄

[建築条件付宅地分譲とは]

この土地は、土地売買契約締結後3ヶ月以内に、
当社と住宅の建築請負契約を締結していただくことを条件として販売いたします。

この期間内に住宅を建築しないことが確定したとき、
または住宅の建築請負契約が成立しなかった場合は、土地売買契約は白紙となり、

受領した金銭は全額無利息で返却致します。詳細については、係員におたずねください。

情報提供日
2025-10-02
次回更新予定日・取引有効期限
2025-10-09

栃木県宇都宮市周辺マップ

  • 分譲地は地図中心の赤いピン付近に所在します。(実際の物件所在地から多少ずれることがあります)
  • 地図上に表示される物件・施設の情報はおおよその所在地を表すものであり、実際の所在地とは異なる場合がございます。
  • 周辺施設は、分譲地の所在地から半径3km以内の施設(大型施設は半径5km以内)のみを表示しています。
  • 上記に表示されている地図・ルート検索・周辺施設情報は、Google社が提供するGoogleMapより物件の所在地に合わせて取得しております。そのため、表示されている施設情報および物件からの距離・移動時間などは実際と異なる場合があります。正確な情報は各分譲地にお問い合わせください。

メーカー公式サイト

ダイワハウス / 宇都宮支店

この支店に物件探しを相談する

栃木県宇都宮市平松本町1111-2 定休日:火曜日・水曜日
お電話の際には「家選びネットを見た」とお問い合わせください。

  • 定休日などにより、お問い合わせのお返事にお時間をいただく場合がございます。
  • お急ぎの方は上記の電話番号より直接ご連絡ください。

ダイワハウス(宇都宮支店)が販売している物件

M 99d3a58d a956 4fa9 a40e b5e074253638
土 地

宇都宮市下岡本町 (建築条件付宅地分譲)

栃木県宇都宮市
JR東北本線「岡本」駅まで徒歩6分

1,859万円〜 徒歩6 3区画

  • 駅徒歩10分以内
  • 50坪以上
  • 自由設計
M b1c879ae 7f66 4ce3 8722 2eaa94d01a74
土 地

セキュレア中今泉2丁目 (建築条件付宅地分譲)

栃木県宇都宮市
JR東北本線「宇都宮」駅まで徒歩18分

2,900万円〜 徒歩18 1区画

  • 複数駅利用可
  • 自由設計
  • 残り1区画
M 832c52ab 0ee6 40a7 9e42 ceb715a12441
土 地

セキュレア祇園5丁目 (建築条件付宅地分譲)

栃木県下野市
JR東北本線「自治医大」駅まで徒歩15分

2,100万円〜 徒歩15 2区画

  • 駅徒歩15分以内
  • 50坪以上
  • 自由設計
M 34149cf2 3b6a 41c1 98c6 4ce81e40f273
土 地

セキュレア宝木町III (1期)(建築条件付宅地分譲)

栃木県宇都宮市
東武鉄道宇都宮線「東武宇都宮」駅まで約3480m~3570m

1,590万円〜 徒歩 34区画

  • 大規模分譲(30区画以上)
  • 50坪以上
  • 自由設計
M 42471cb5 3aa1 4c37 a303 42b88a1f0c46
土 地

セキュレア下野市駅東3丁目 (建築条件付宅地分譲)

栃木県下野市
JR東北本線「小金井」駅まで徒歩8分

890万円〜 徒歩8 2区画

  • 駅徒歩10分以内
  • 50坪以上
  • 自由設計
M bcc47c56 d0fb 4793 849d 241caabe7a61
土 地

セキュレア中一の沢町III (建築条件付宅地分譲)

栃木県宇都宮市
東武鉄道宇都宮線「東武宇都宮」駅まで車約5分(約2,000m~2,020m)

1,990万円〜 徒歩 7区画

  • 45坪以上
  • 自由設計
  • JR湘南新宿・上野東京ライン
M 2f58d349 a0ac 4c29 b761 ee68136cb655
建 売

セキュレア鶴田町IX (分譲住宅)

栃木県宇都宮市
東武鉄道宇都宮線「東武宇都宮」駅まで車約10分(約3500m~約3510m)

3,870万円〜 徒歩 3区画

  • 即入居可
  • JR湘南新宿・上野東京ライン
  • 木造
M 4f1adfb2 3672 4e30 9f56 704681ea6a4f
土 地

セキュレア下栗町 (建築条件付宅地分譲)

栃木県宇都宮市
JR東北本線「宇都宮」駅まで車約19分(約4670m~約4710m)

1,580万円〜 徒歩 25区画

  • 45坪以上
  • 自由設計
M 3aa544ef cdce 44a4 8887 831894715f98
建 売

セキュレア八千代1丁目 (分譲住宅)

栃木県宇都宮市
東武鉄道宇都宮線「江曽島」駅まで徒歩2分~3分

4,280万円〜 徒歩2 4区画

  • 駅徒歩10分以内
  • 複数駅利用可
  • 即入居可
M f1f6f153 65a4 4ef5 9f50 2f81e56829c3
土 地

セキュレア宝木町IV (建築条件付宅地分譲)

栃木県宇都宮市
東武鉄道宇都宮線「東武宇都宮」駅 関東自動車約11分「中丸」バス停徒歩6分

1,080万円〜 徒歩6 4区画

  • 50坪以上
  • 自由設計
  • JR湘南新宿・上野東京ライン
M 6942d701 559a 478c a976 d153fa9215ee
建 売

セキュレア宝木町IV (分譲住宅)

栃木県宇都宮市
東武鉄道宇都宮線「東武宇都宮」駅 関東自動車約11分乗車「中丸」バス停徒歩5分

3,850万円〜 徒歩5 4区画

  • 50坪以上
  • 即入居可
  • JR湘南新宿・上野東京ライン
M a64c0645 48b7 4dca 87f6 64b844d5fa6c
建 売

セキュレア宝木町III (分譲住宅)

栃木県宇都宮市
東武鉄道宇都宮線「東武宇都宮」駅まで約3,460m~3,470m

未定 徒歩 34区画

  • 予告広告
  • JR湘南新宿・上野東京ライン
  • 鉄骨
M 75347a6c ca51 4755 a838 e1e739622cf3
土 地

セキュレア中今泉3丁目 (建築条件付宅地分譲)

栃木県宇都宮市
JR東北本線「宇都宮」駅まで車約6分(約1,900m)

3,390万円〜 徒歩 1区画

  • 50坪以上
  • 複数駅利用可
  • 自由設計
M 4d47d09a 7cc3 4259 8e0d 7dc98cdcb19b
建 売

セキュレア御幸本町 (分譲住宅)

栃木県宇都宮市
JR東北本線「宇都宮」駅まで約3,910m~3,950m

4,080万円〜 徒歩 8区画

  • 50坪以上
  • 複数駅利用可
  • 即入居可
M 74bace52 cc24 4f5d a9cd 113dced6f70a
建 売

セキュレア栃木川原田町 (分譲住宅)

栃木県栃木市
東武鉄道宇都宮線「新栃木」駅まで約2,100m

4,880万円〜 徒歩 1区画

  • 50坪以上
  • 即入居可
  • JR湘南新宿・上野東京ライン
M a1cb8293 fea0 41fa 9791 5b337f163d00
建 売

セキュレア大曽4丁目 (分譲住宅)

栃木県宇都宮市
JR東北本線「宇都宮」駅 関東バス約8分「大曽一丁目」バス停徒歩3分

4,480万円〜 徒歩3 1区画

  • 50坪以上
  • 複数駅利用可
  • 即入居可

ハウスメーカー8社が販売している宇都宮市の物件

M bcc47c56 d0fb 4793 849d 241caabe7a61
土 地

セキュレア中一の沢町III (建築条件付宅地分譲)

  • 栃木県宇都宮市
  • 東武鉄道宇都宮線「東武宇都宮」駅まで車約5分(約2,000m~2,020m)
  • 1,990万円~2,000万円
  • 3区画
M 34149cf2 3b6a 41c1 98c6 4ce81e40f273
土 地

セキュレア宝木町III (1期)(建築条件付宅地分譲)

  • 栃木県宇都宮市
  • 東武鉄道宇都宮線「東武宇都宮」駅まで約3480m~3570m
  • 1,590万円~2,100万円
  • 4区画
M f1f6f153 65a4 4ef5 9f50 2f81e56829c3
土 地

セキュレア宝木町IV (建築条件付宅地分譲)

  • 栃木県宇都宮市
  • 東武鉄道宇都宮線「東武宇都宮」駅 関東自動車約11分「中丸」バス停徒歩6分
  • 1,080万円
  • 1区画
M 4d47d09a 7cc3 4259 8e0d 7dc98cdcb19b
建 売

セキュレア御幸本町 (分譲住宅)

  • 栃木県宇都宮市
  • JR東北本線「宇都宮」駅まで約3,910m~3,950m
  • 4,080万円~4,780万円
  • 5戸
M b1c879ae 7f66 4ce3 8722 2eaa94d01a74
土 地

セキュレア中今泉2丁目 (建築条件付宅地分譲)

  • 栃木県宇都宮市
  • JR東北本線「宇都宮」駅まで徒歩18分
  • 2,900万円
  • 1区画
M 2f58d349 a0ac 4c29 b761 ee68136cb655
建 売

セキュレア鶴田町IX (分譲住宅)

  • 栃木県宇都宮市
  • 東武鉄道宇都宮線「東武宇都宮」駅まで車約10分(約3500m~約3510m)
  • 3,870万円~4,150万円
  • 3戸
M a64c0645 48b7 4dca 87f6 64b844d5fa6c
建 売

セキュレア宝木町III (分譲住宅)

  • 栃木県宇都宮市
  • 東武鉄道宇都宮線「東武宇都宮」駅まで約3,460m~3,470m
  • 未定
  • 2戸
M 99d3a58d a956 4fa9 a40e b5e074253638
土 地

宇都宮市下岡本町 (建築条件付宅地分譲)

  • 栃木県宇都宮市
  • JR東北本線「岡本」駅まで徒歩6分
  • 1,859万円~2,222万円
  • 3区画
M 6942d701 559a 478c a976 d153fa9215ee
建 売

セキュレア宝木町IV (分譲住宅)

  • 栃木県宇都宮市
  • 東武鉄道宇都宮線「東武宇都宮」駅 関東自動車約11分乗車「中丸」バス停徒歩5分
  • 3,850万円
  • 1戸
M a1cb8293 fea0 41fa 9791 5b337f163d00
建 売

セキュレア大曽4丁目 (分譲住宅)

  • 栃木県宇都宮市
  • JR東北本線「宇都宮」駅 関東バス約8分「大曽一丁目」バス停徒歩3分
  • 4,480万円
  • 1戸
M 75347a6c ca51 4755 a838 e1e739622cf3
土 地

セキュレア中今泉3丁目 (建築条件付宅地分譲)

  • 栃木県宇都宮市
  • JR東北本線「宇都宮」駅まで車約6分(約1,900m)
  • 3,390万円
  • 1区画
M 3aa544ef cdce 44a4 8887 831894715f98
建 売

セキュレア八千代1丁目 (分譲住宅)

  • 栃木県宇都宮市
  • 東武鉄道宇都宮線「江曽島」駅まで徒歩2分~3分
  • 4,280万円~4,420万円
  • 2戸
M 4f1adfb2 3672 4e30 9f56 704681ea6a4f
土 地

セキュレア下栗町 (建築条件付宅地分譲)

  • 栃木県宇都宮市
  • JR東北本線「宇都宮」駅まで車約19分(約4670m~約4710m)
  • 1,580万円~1,720万円
  • 4区画

周辺の地域一覧

栃木県

ご希望のエリアをお選びください