セキュレア西川田町 (建築条件付宅地分譲)
セキュレア西川田町 (建築条件付宅地分譲)
セキュレア西川田町 (建築条件付宅地分譲)
セキュレア西川田町 (建築条件付宅地分譲)

セキュレア西川田町 (建築条件付宅地分譲)
(建築条件付宅地分譲)

マイレーティング

検討・比較をするためにこの物件を採点できます。
(採点した物件はお気に入りで確認できます)

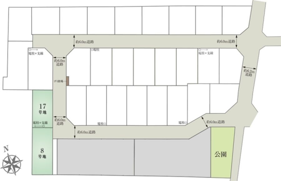
◆全29区画の大型分譲地◆

宇都宮市立姿川中央小学校、宇都宮市立姿川中学校まで徒歩圏内。

ヨークベニマル西川田店、カワチ薬局まで徒歩圏内。

大通りから1本入った敷地で閑静な住宅街となっております。



フリープランでの建築が可能です。

間取りプランも立てやすく、暮らしやすい住まいに。

前面道路幅6mで、車の通行、駐車もスムーズ。



無料で建築プランの作成を承っております。

こだわりの住まいをカタチに。ご希望やご相談もお気軽お問合せ下さい。

メーカー公式サイト

土地のみ
土地のみ
沿線名/駅名
東武鉄道宇都宮線「江曽島」駅
総区画数
29 区画
駅・バス停からの最短時間
16
価格帯
1,490万円-
1,790万円
土地面積
152.42-
192.29
所在地
栃木県宇都宮市西川田町字上原953-46他
沿線名/駅名
東武鉄道宇都宮線「江曽島」駅まで徒歩16分
JR東北本線「宇都宮」駅 関東バス約25分「東原町」バス停徒歩5分
価格帯
1,490万円~1,790万円
最多価格帯
1,000万円台 2区画 ※1,000万円単位
販売戸数/総戸数
2区画/29区画
土地面積
192.29m2(8号地)、152.42m2(17号地) 全て私道負担なし
開発面積(総面積)
-

この物件のこだわりポイント

分譲地内は幅員6mの道路が整備されており、通行もラクラク。
分譲地内には公園も新設。大通りから1本入った敷地で閑静な住宅街となっております。
東武鉄道宇都宮線「江曽島」駅が徒歩圏内。通勤通学やお出かけの際の交通アクセスのよい分譲地。

建ぺい率・容積率
60%・200%
地目
宅地
用途地域
第一種住居地域
完成予定日
造成済 2区画
販売時期
先着順申込受付中
売主
大和ハウス工業株式会社
販売会社名(取引態様)
売主
情報提供元
大和ハウス工業株式会社
お問い合わせ先

宇都宮支店 住宅営業所

宅建番号その他

大和ハウス工業株式会社 DAIWA HOUSE INDUSTRY CO., LTD.
本社 〒530-8241 大阪市北区梅田3丁目3-5 大和ハウス大阪ビル TEL:0120-590-956
建設業許可番号・国土交通大臣許可(特-2)第5279号
宅地建物取引業者免許番号・国土交通大臣(16)第245号
(一社)大阪府宅地建物取引業協会会員
(一社)不動産協会会員
(公社)近畿地区不動産公正取引協議会加盟

備考欄

【お詫びと訂正】

令和7年10月15日まで公開していたホームページにおいて

総区画数を36区画と表示しておりましたが、計画変更に伴い、29区画に変更いたします。

お詫びと共に訂正いたします。


-------------------------------------

総区画数29区画の他に賃貸住宅用地が2区画があります。


[建築条件付宅地分譲とは]

この土地は、土地売買契約締結後3ヶ月以内に、
当社と住宅の建築請負契約を締結していただくことを条件として販売いたします。

この期間内に住宅を建築しないことが確定したとき、
または住宅の建築請負契約が成立しなかった場合は、土地売買契約は白紙となり、

受領した金銭は全額無利息で返却致します。詳細については、係員におたずねください。

情報提供日
2025-11-03
次回更新予定日・取引有効期限
2025-11-10

栃木県宇都宮市周辺マップ

  • 分譲地は地図中心の赤いピン付近に所在します。(実際の物件所在地から多少ずれることがあります)
  • 地図上に表示される物件・施設の情報はおおよその所在地を表すものであり、実際の所在地とは異なる場合がございます。
  • 周辺施設は、分譲地の所在地から半径3km以内の施設(大型施設は半径5km以内)のみを表示しています。
  • 上記に表示されている地図・ルート検索・周辺施設情報は、Google社が提供するGoogleMapより物件の所在地に合わせて取得しております。そのため、表示されている施設情報および物件からの距離・移動時間などは実際と異なる場合があります。正確な情報は各分譲地にお問い合わせください。

メーカー公式サイト

ダイワハウス / 宇都宮支店

この支店に物件探しを相談する

栃木県宇都宮市平松本町1111-2 定休日:火曜日・水曜日
お電話の際には「家選びネットを見た」とお問い合わせください。

  • 定休日などにより、お問い合わせのお返事にお時間をいただく場合がございます。
  • お急ぎの方は上記の電話番号より直接ご連絡ください。

ダイワハウス(宇都宮支店)が販売している物件

M 8fb624f6 8637 4acc 90da a8dd09dfe65d
建 売

セキュレア西川田町 (分譲住宅)

栃木県宇都宮市
東武鉄道宇都宮線「江曽島」駅 徒歩14分~15分

3,580万円〜 徒歩14 29区画

  • 駅徒歩15分以内
  • 45坪以上
  • 複数駅利用可
M 5f16a6fb 094f 4b78 822b a462583f9739
土 地

セキュレア宝木町III (1期)(建築条件付宅地分譲)

栃木県宇都宮市
東武鉄道宇都宮線「東武宇都宮」駅まで約3480m~3570m

1,590万円〜 徒歩 34区画

  • 大規模分譲(30区画以上)
  • 50坪以上
  • 自由設計
M 433f7003 ffe7 4378 95fb 710e91f186e7
建 売

セキュレア御幸本町 (分譲住宅)

栃木県宇都宮市
JR東北本線「宇都宮」駅まで約3,910m~3,950m

4,080万円〜 徒歩 8区画

  • 50坪以上
  • 複数駅利用可
  • 即入居可
M afb22356 4596 4b24 a93e b199b6f2d2a7
土 地

セキュレア中一の沢町III (建築条件付宅地分譲)

栃木県宇都宮市
東武鉄道宇都宮線「東武宇都宮」駅まで車約5分(約2,000m~2,020m)

1,990万円〜 徒歩 7区画

  • 45坪以上
  • 自由設計
  • JR湘南新宿・上野東京ライン
M 4f8f61db 57c3 4b4f 8c52 ad86fbd83cbb
土 地

セキュレア下野市駅東3丁目 (建築条件付宅地分譲)

栃木県下野市
JR東北本線「小金井」駅まで徒歩8分

890万円〜 徒歩8 2区画

  • 駅徒歩10分以内
  • 50坪以上
  • 自由設計
M e943aa76 b562 45bf 9b13 410d7a96cd70
土 地

宇都宮市下岡本町 (建築条件付宅地分譲)

栃木県宇都宮市
JR東北本線「岡本」駅まで徒歩6分

1,859万円〜 徒歩6 3区画

  • 駅徒歩10分以内
  • 50坪以上
  • 自由設計
M 1045dd33 ba22 478b b387 977ef116e428
建 売

セキュレア栃木川原田町 (分譲住宅)

栃木県栃木市
東武鉄道宇都宮線「新栃木」駅まで約2,100m

4,880万円〜 徒歩 1区画

  • 50坪以上
  • 即入居可
  • JR湘南新宿・上野東京ライン
M d2f6893e ec66 43c5 9eb0 4f8f63f2fa81
土 地

セキュレア中今泉3丁目 (建築条件付宅地分譲)

栃木県宇都宮市
JR東北本線「宇都宮」駅まで車約6分(約1,900m)

3,390万円〜 徒歩 1区画

  • 50坪以上
  • 複数駅利用可
  • 自由設計
M 89e0d560 e2f7 41e3 9aa9 1ebdab948409
土 地

セキュレア中今泉2丁目 (建築条件付宅地分譲)

栃木県宇都宮市
JR東北本線「宇都宮」駅まで徒歩18分

2,900万円〜 徒歩18 1区画

  • 複数駅利用可
  • 自由設計
  • 残り1区画
M ff88c22d aa76 43ee 8cba d76272e1ec27
建 売

セキュレア大曽4丁目 (分譲住宅)

栃木県宇都宮市
JR東北本線「宇都宮」駅 関東バス約8分「大曽一丁目」バス停徒歩3分

4,480万円〜 徒歩3 1区画

  • 50坪以上
  • 複数駅利用可
  • 即入居可
M 205f5e2a 8c8e 48b5 9b1d 1454d8f769c3
土 地

セキュレア宝木町IV (建築条件付宅地分譲)

栃木県宇都宮市
東武鉄道宇都宮線「東武宇都宮」駅 関東自動車約11分「中丸」バス停徒歩6分

1,080万円〜 徒歩6 4区画

  • 50坪以上
  • 自由設計
  • JR湘南新宿・上野東京ライン
M 7a75bbef f46c 4084 959a 0055029ef45c
土 地

セキュレア祇園5丁目 (建築条件付宅地分譲)

栃木県下野市
JR東北本線「自治医大」駅まで徒歩15分

2,100万円〜 徒歩15 2区画

  • 駅徒歩15分以内
  • 50坪以上
  • 自由設計
M abb0c102 9824 4bd5 93ca b1af3f3509ed
建 売

セキュレア宝木町III (分譲住宅)

栃木県宇都宮市
東武鉄道宇都宮線「東武宇都宮」駅まで車約9分(約3470m)

4,150万円〜 徒歩 34区画

  • 大規模分譲(30区画以上)
  • 50坪以上
  • 即入居可
M 18effced e5bd 434a 84c4 459a5dc7525b
建 売

セキュレア宝木町IV (分譲住宅)

栃木県宇都宮市
東武鉄道宇都宮線「東武宇都宮」駅 関東自動車約11分乗車「中丸」バス停徒歩5分

3,850万円〜 徒歩5 4区画

  • 50坪以上
  • 即入居可
  • JR湘南新宿・上野東京ライン
M 0b8d6e98 d21a 4524 986e efef2820ac55
建 売

セキュレア八千代1丁目 (分譲住宅)

栃木県宇都宮市
東武鉄道宇都宮線「江曽島」駅まで徒歩2分~3分

4,280万円〜 徒歩2 4区画

  • 駅徒歩10分以内
  • 複数駅利用可
  • 即入居可
M c64270ef c6b1 40ce 8f96 8f40dbb06cbd
土 地

セキュレア下栗町 (建築条件付宅地分譲)

栃木県宇都宮市
JR東北本線「宇都宮」駅まで車約19分(約4670m~約4710m)

1,580万円〜 徒歩 25区画

  • 45坪以上
  • 自由設計
M 3514b37e a67a 4d23 b7d5 a331a205f065
建 売

セキュレア鶴田町IX (分譲住宅)

栃木県宇都宮市
東武鉄道宇都宮線「東武宇都宮」駅まで車約10分(約3500m~約3510m)

3,870万円〜 徒歩 3区画

  • 即入居可
  • JR湘南新宿・上野東京ライン
  • 木造

ハウスメーカー8社が販売している宇都宮市の物件

M 3514b37e a67a 4d23 b7d5 a331a205f065
建 売

セキュレア鶴田町IX (分譲住宅)

  • 栃木県宇都宮市
  • 東武鉄道宇都宮線「東武宇都宮」駅まで車約10分(約3500m~約3510m)
  • 3,870万円~4,150万円
  • 3戸
M 205f5e2a 8c8e 48b5 9b1d 1454d8f769c3
土 地

セキュレア宝木町IV (建築条件付宅地分譲)

  • 栃木県宇都宮市
  • 東武鉄道宇都宮線「東武宇都宮」駅 関東自動車約11分「中丸」バス停徒歩6分
  • 1,080万円
  • 1区画
M 5f16a6fb 094f 4b78 822b a462583f9739
土 地

セキュレア宝木町III (1期)(建築条件付宅地分譲)

  • 栃木県宇都宮市
  • 東武鉄道宇都宮線「東武宇都宮」駅まで約3480m~3570m
  • 1,590万円~2,100万円
  • 4区画
M c64270ef c6b1 40ce 8f96 8f40dbb06cbd
土 地

セキュレア下栗町 (建築条件付宅地分譲)

  • 栃木県宇都宮市
  • JR東北本線「宇都宮」駅まで車約19分(約4670m~約4710m)
  • 1,580万円~1,720万円
  • 4区画
M e943aa76 b562 45bf 9b13 410d7a96cd70
土 地

宇都宮市下岡本町 (建築条件付宅地分譲)

  • 栃木県宇都宮市
  • JR東北本線「岡本」駅まで徒歩6分
  • 1,859万円~2,222万円
  • 3区画
M ff88c22d aa76 43ee 8cba d76272e1ec27
建 売

セキュレア大曽4丁目 (分譲住宅)

  • 栃木県宇都宮市
  • JR東北本線「宇都宮」駅 関東バス約8分「大曽一丁目」バス停徒歩3分
  • 4,480万円
  • 1戸
M d2f6893e ec66 43c5 9eb0 4f8f63f2fa81
土 地

セキュレア中今泉3丁目 (建築条件付宅地分譲)

  • 栃木県宇都宮市
  • JR東北本線「宇都宮」駅まで車約6分(約1,900m)
  • 3,390万円
  • 1区画
M 433f7003 ffe7 4378 95fb 710e91f186e7
建 売

セキュレア御幸本町 (分譲住宅)

  • 栃木県宇都宮市
  • JR東北本線「宇都宮」駅まで約3,910m~3,950m
  • 4,080万円~4,620万円
  • 3戸
M 8fb624f6 8637 4acc 90da a8dd09dfe65d
建 売

セキュレア西川田町 (分譲住宅)

  • 栃木県宇都宮市
  • 東武鉄道宇都宮線「江曽島」駅 徒歩14分~15分
  • 3,580万円~4,380万円
  • 17戸
M abb0c102 9824 4bd5 93ca b1af3f3509ed
建 売

セキュレア宝木町III (分譲住宅)

  • 栃木県宇都宮市
  • 東武鉄道宇都宮線「東武宇都宮」駅まで車約9分(約3470m)
  • 4,150万円
  • 1戸
M afb22356 4596 4b24 a93e b199b6f2d2a7
土 地

セキュレア中一の沢町III (建築条件付宅地分譲)

  • 栃木県宇都宮市
  • 東武鉄道宇都宮線「東武宇都宮」駅まで車約5分(約2,000m~2,020m)
  • 1,990万円~2,000万円
  • 3区画
M 0b8d6e98 d21a 4524 986e efef2820ac55
建 売

セキュレア八千代1丁目 (分譲住宅)

  • 栃木県宇都宮市
  • 東武鉄道宇都宮線「江曽島」駅まで徒歩2分~3分
  • 4,280万円~4,420万円
  • 2戸
M 18effced e5bd 434a 84c4 459a5dc7525b
建 売

セキュレア宝木町IV (分譲住宅)

  • 栃木県宇都宮市
  • 東武鉄道宇都宮線「東武宇都宮」駅 関東自動車約11分乗車「中丸」バス停徒歩5分
  • 3,850万円
  • 1戸
M 89e0d560 e2f7 41e3 9aa9 1ebdab948409
土 地

セキュレア中今泉2丁目 (建築条件付宅地分譲)

  • 栃木県宇都宮市
  • JR東北本線「宇都宮」駅まで徒歩18分
  • 2,900万円
  • 1区画

周辺の地域一覧

栃木県

ご希望のエリアをお選びください