セキュレア西川田町 (建築条件付宅地分譲)
(建築条件付宅地分譲)
マイレーティング
検討・比較をするためにこの物件を採点できます。
(採点した物件はお気に入りで確認できます)
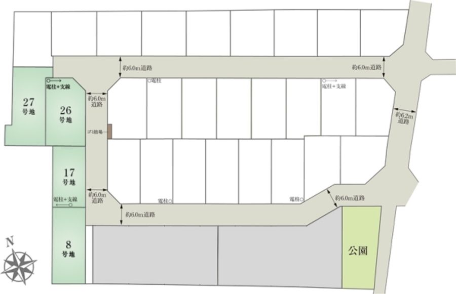
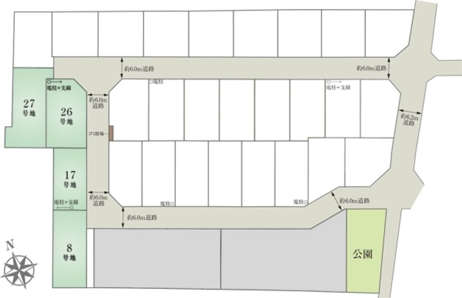
◆全29区画の大型分譲地◆
宇都宮市立姿川中央小学校、宇都宮市立姿川中学校まで徒歩圏内。
ヨークベニマル西川田店、カワチ薬局まで徒歩圏内。
大通りから1本入った敷地で閑静な住宅街となっております。
フリープランでの建築が可能です。
間取りプランも立てやすく、暮らしやすい住まいに。
前面道路幅6mで、車の通行、駐車もスムーズ。
無料で建築プランの作成を承っております。
こだわりの住まいをカタチに。ご希望やご相談もお気軽お問合せ下さい。
- 土地のみ
- 土地のみ
- ハウスメーカー
- 大和ハウス工業/ダイワハウス
- 沿線名/駅名
- 東武鉄道宇都宮線「江曽島」駅
- 総区画数
- 29 区画
- 駅・バス停からの最短時間
- 16分
- 価格帯
- 1,430万円-
1,820万円
- 土地面積
- 152.42㎡-
215.55㎡
- 所在地
- 栃木県宇都宮市西川田町字上原953-46他
- 沿線名/駅名
- 東武鉄道宇都宮線「江曽島」駅まで徒歩16分~17分
JR東北本線「宇都宮」駅 関東バス約25分「東原町」バス停徒歩5分
- 価格帯
- 1,430万円~1,820万円
- 最多価格帯
- 1,400万円台 2区画
- 販売戸数/総戸数
- 4区画/29区画
- 土地面積
- 192.29m2(8号地)、152.42m2(17号地)、199.41m2(26号地)、215.55m2(27号地) 私道負担なし
- 開発面積(総面積)
- -
この物件のこだわりポイント
分譲地内は幅員6mの道路が整備されており、通行もラクラク。
分譲地内には公園も新設。大通りから1本入った敷地で閑静な住宅街となっております。
東武鉄道宇都宮線「江曽島」駅が徒歩圏内。通勤通学やお出かけの際の交通アクセスのよい分譲地。
- 建ぺい率・容積率
- 60%・200%
- 地目
- 宅地
- 用途地域
- 第一種住居地域
- 完成予定日
- 造成済 4区画
- 販売時期
- 先着順申込受付中
- その他費用
-
- 売主
- 大和ハウス工業株式会社
- 販売会社名(取引態様)
- 売主
- 情報提供元
- 大和ハウス工業株式会社
- お問い合わせ先
宇都宮支店 住宅営業所
- 宅建番号その他
大和ハウス工業株式会社 DAIWA HOUSE INDUSTRY CO., LTD.
本社 〒530-8241 大阪市北区梅田3丁目3-5 大和ハウス大阪ビル TEL:0120-590-956
建設業許可番号・国土交通大臣許可(特-2)第5279号
宅地建物取引業者免許番号・国土交通大臣(16)第245号
(一社)大阪府宅地建物取引業協会会員
(一社)不動産協会会員
(公社)近畿地区不動産公正取引協議会加盟
- 備考欄
総区画数29区画の他に賃貸住宅用地が2区画があります。
[建築条件付宅地分譲とは]
この土地は、土地売買契約締結後3ヶ月以内に、
当社と住宅の建築請負契約を締結していただくことを条件として販売いたします。
この期間内に住宅を建築しないことが確定したとき、
または住宅の建築請負契約が成立しなかった場合は、土地売買契約は白紙となり、
受領した金銭は全額無利息で返却致します。詳細については、係員におたずねください。
- 情報提供日
- 2026-01-20
- 次回更新予定日・取引有効期限
- 2026-01-27
栃木県宇都宮市周辺マップ
- ※分譲地は地図中心の赤いピン付近に所在します。(実際の物件所在地から多少ずれることがあります)
- ※地図上に表示される物件・施設の情報はおおよその所在地を表すものであり、実際の所在地とは異なる場合がございます。
- ※周辺施設は、分譲地の所在地から半径3km以内の施設(大型施設は半径5km以内)のみを表示しています。
- 徒歩
- 電車
- この機能は準備中です。
- 車
- ※上記に表示されている地図・ルート検索・周辺施設情報は、Google社が提供するGoogleMapより物件の所在地に合わせて取得しております。そのため、表示されている施設情報および物件からの距離・移動時間などは実際と異なる場合があります。正確な情報は各分譲地にお問い合わせください。
ダイワハウス / 宇都宮支店
栃木県宇都宮市平松本町1111-2 定休日:火曜日・水曜日
お電話の際には「家選びネットを見た」とお問い合わせください。
- ※定休日などにより、お問い合わせのお返事にお時間をいただく場合がございます。
- ※お急ぎの方は上記の電話番号より直接ご連絡ください。















